Tbd East Side Dr, Peaine township, Michigan

$78,000

Previous Next

1.50

Acres

About Tbd East Side Dr

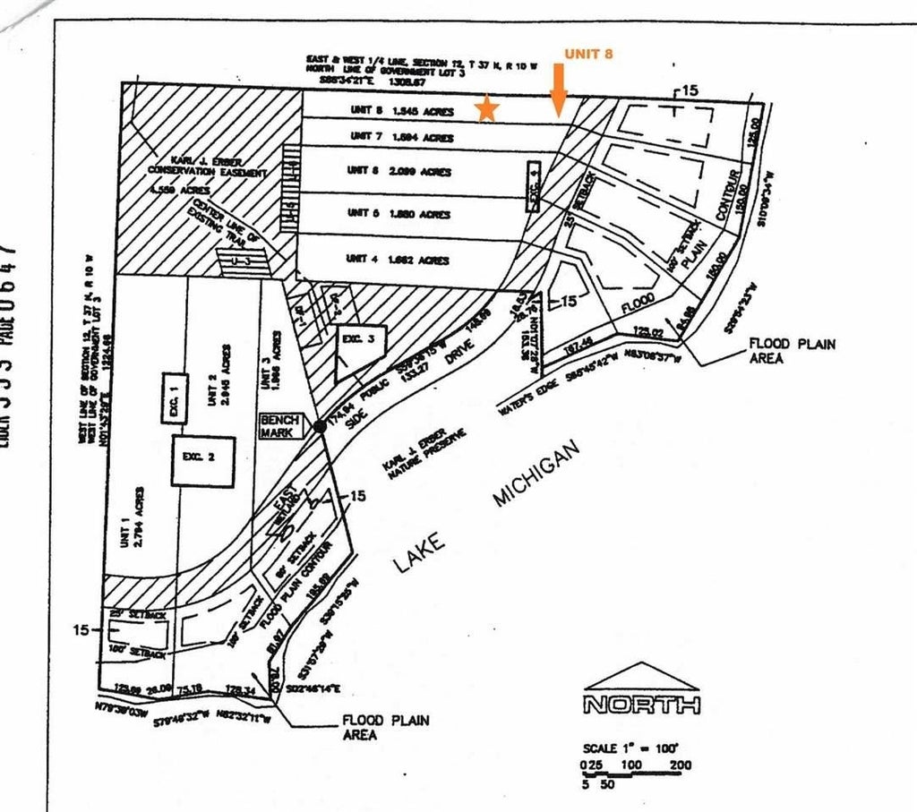
Offering a beautiful waterfront setting for your island dream home. Unit 8 of Kilty's Point is located on the east side of the island. This property has much to offer with 125' of Lake Michigan frontage. The lot consists of 1.5 wooded acres with a portion of the property on the inland side of the road. Rocky shores and a woodland retreat most fitting for a nature lover. There is a sandy beach public access just 1/2 mile down the road. Perfect piece of paradise.

Features of Tbd East Side Dr

MLS® # 78080054770
Price $78,000
Bathrooms 0.00
Acres 1.50
Type Vacant Land
Status Active

Community Information

Address Tbd East Side Dr
Area 15011 - Peaine Twp
Subdivision KILTY'S POINT CONDOMUNIUM
City Peaine township
County Charlevoix
State Michigan
Zip Code 49782

Amenities

Is Waterfront Yes
Waterfront Water Access/Rights, Waterfront
Has Pool No

Interior

Fireplace No

Exterior

Lot Description Wooded, Many Trees, Water View

School Information

District Beaver Island

Additional Information

Foreclosure No
Short Sale No
RE / Bank Owned No

Listing Details

OfficeFive Star Real Estate-Beaver Island
Contact Infos.richards.realtor@gmail.com

Listing Map

Request a Showing

Provide a valid email address.
When would you like to view this property?